
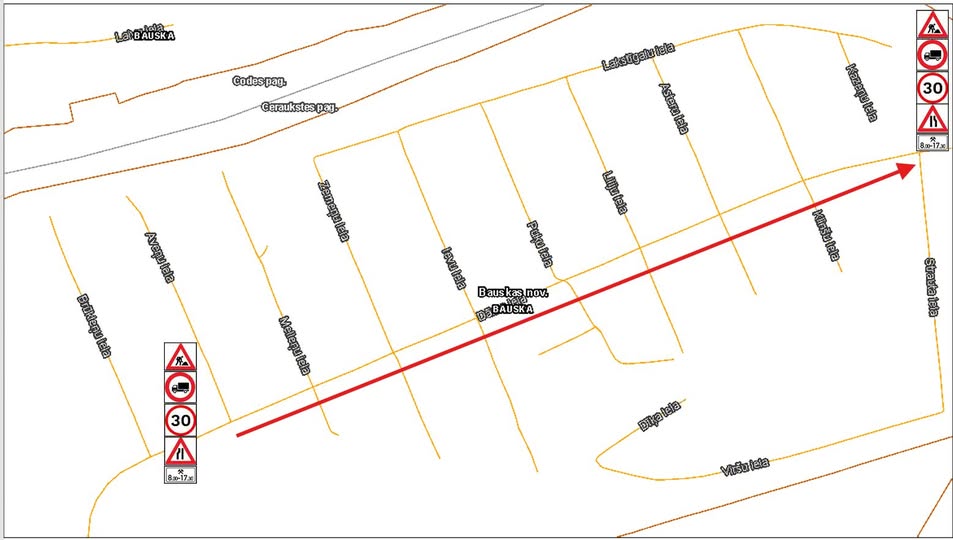
No šodienas, 16. jūnija, Bauskā tiks uzsākti maģistrālā ūdensvada izbūves darbi Dārza ielā – posmā no Aveņu ielas līdz Strauta ielai, portālu informēja uzņēmumā SIA “Bauskas novada komunālserviss”.
Uzņēmumā norāda, ka darbi tiks veikti darba dienās no pulksten 8 līdz 17:30, izmantojot horizontālās urbšanas metodi, kas ļauj veikt izbūvi ar mazāku ietekmi uz ielu segumu un apkārtējo infrastruktūru.
Saistībā ar remontdarbiem minētajā posmā tiks ieviesti satiksmes ierobežojumi, tāpēc autovadītāji aicināti ievērot izvietotās ceļazīmes un pagaidu satiksmes organizācijas kārtību.
Uzņēmums jau iepriekš pilsētniekiem atvainojas par sagādātajām neērtībām un aicina uz sapratni.